Entwässerungsplan (sw) in 4 Teilen wird geladen - Geduld bitte - da kommen 220 Kb (zusammengesetzt aus 5 Kopien)

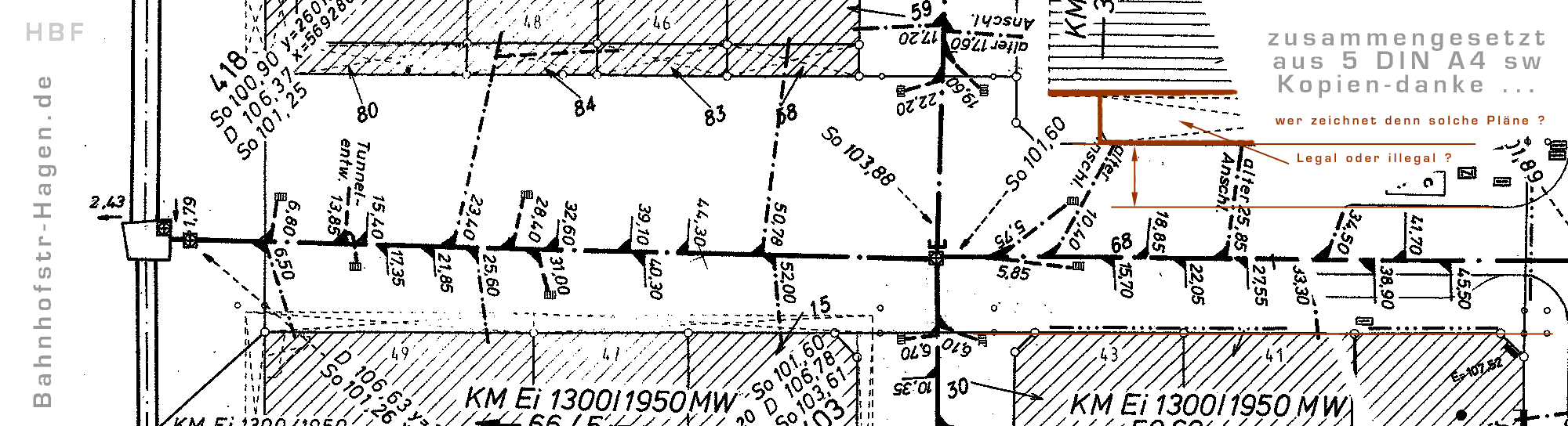
Entwässerungsplan zeigt den Mischwasserkanal unter der Bahnhofstr in Hagen (Seite etwas eingekürzt 24.02.2003)

Am Freitag 31.01.2003 war Termin im Entwässerungsamt mit dem zuständigen Wasserbauing. Herrn Sommer. - Mental und fachlich ein Mann der Respekt verdient.

Wir haben grünen Tee getrunken und uns über die Entwässerungssituation der Bahnhofstr und der neuen Bahnhofsallee unterhalten. Wasserbau verlangt Fachwissen.

Unter der Bahnhofstrasse liegt ein einförmiger, gemauerter Entwässerungskanal (mit der Eispitze nach unten). Der verbindet : Eilpe - Zentrum - Bahnhofstr - Klärwerk.

Der Kanal ist laut Auskunft von Herrn Sommer in einem guten baulichen Zustand. - Höhe 1,95 m und Breite 1,3 m sind die Innenmaße unseres Mischwasserkanals.

Aufgrund der Umbauarbeiten untere Elberfelderstr. sollen die Abwässer, max. 30 % + die Regenwässer min. 70 % vom Gesamtaufkommen, ca. 64 meter weiter oben

in den Sammler Bahnhofstr.eingeleitet werden. Die geplante Bauleistung soll den Mischwasserkanal von 1,65m zu 1,1m auf 1,95m zu 1,3m aufweiten um schon etwas

früher (64 meter eben) einleiten zu können. Es steht mir nicht zu dazu etwas wertendes zu sagen. Sorry.

Bild 1 / 4 - Entwässerungsplan Bahnhofstr
Bild 2 / 4 - Entwässerungsplan Bahnhofstr
Bild 3 / 4 - Entwässerungsplan Bahnhofstr
Bild 4 / 4 - Entwässerungsplan Bahnhofstr
Hallo ?
Entwässerungsplan Stand 03.02.2003 - Notausgang
Hallo ?

Da man Regenwasser in den Hagener Boden nur mäßig, und in der Innenstadt gar nicht versickern kann, wird das Regenwasser direkt ins Klärwerk geschickt.

Es ist ja genug Regenwasser da, um die 2 Wasserrinnen der Bahnhofsallee ganzjähring 24/24 speisen zu können. Allein das Wasser von den Dächern der

DB 24 + SIHK reicht schon (in Zisterne "im" Vorgarten sammeln) um das Klärwerk zu entlasten, und viel Wasser innerstädtisch zu zeigen und zu verdunsten.

Herr Sommer ist in seiner Eigenschaft als Wasserbauing. sicher, dass es in den beiden Wasserrinnen bei 0,3° Neigung technisch gesehen fließen wird ;--)))